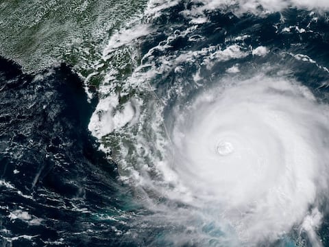
पोर्ट सेंट लुइस: विनाशकारी तूफान ‘डोरियन’ का कहर बहामास पर सोमवार को भी बना रहा. ऊंची-ऊंची समुद्री लहरों और विध्वंसक हवाओं से द्वीप के निचले इलाके में रह रहे लोग सबसे अधिक प्रभावित हुए हैं. इस चक्रवाती तूफान की वजह से कम से कम पांच लोगों की मौत हुई है. अमेरिका के पूर्वी तट पर बड़ी संख्या में लोगों को सुरक्षित स्थानों पर पहुंचाया जा रहा है.

बहामास के प्रधानमंत्री हुबर्ट मिनिस ने इस तूफान को अब तक का सबसे भयावह तूफान बताया है. मिनिस ने कहा, ''अब तक, रॉयल बहामास पुलिस बल ने अबाको द्वीप पर पांच लोगों के मरने की पुष्टि की है.'' रेड क्रॉस सोसाइटी ने शुरुआती तौर पर 13,000 हजार मकान क्षतिग्रस्त होने का अनुमान लगाया है. वह उन द्वीपों का हवाला दे रहे थे जहां डोरियन ने रविवार को पांचवीं श्रेणी (सबसे खतरनाक)के तूफान के रूप में दस्तक दी थी. यहां 290 किलोमीटर प्रति घंटे की रफ्तार से हवाएं चल रही थी.

दो दिन और खतरनाक रहेगा तूफान

अमेरिका के मियामी स्थित राष्ट्रीय तूफान केंद्र (एनएचसी) ने हालिया बुलेटिन में कहा कि हालांकि, सोमवार को तूफान की गति में कमी आई है और यह अब चौथी श्रेणी में आ गया है, फिर भी इलाके में 225 किलोमीटर प्रति घंटे की रफ्तार से हवाएं चल रही हैं और तेज बारिश हो रही है. समुद्र में ऊंची-ऊंची लहरें उठ रही हैं.

एनएचसी ने बताया कि अब यह पश्चिम की ओर बढ़ जाएगा. भले ही इसके कमजोर होने की संभावना जाहिर की गई हो लेकिन डोरियन अगले दो दिन तक खतरनाक तूफान बना रहेगा.